Enlaces para accesibilidad

Huracán Genevieve se acerca a la península de Baja California


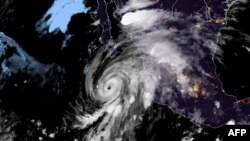
Foto de satélite del huracán Genevieve aproximándose a la península de Baja California tomada el martes 18 de agosto de 2020.
Foto de satélite del huracán Genevieve aproximándose a la península de Baja California tomada el martes 18 de agosto de 2020.

El huracán Genevieve se acercaba este miércoles a las costas de Baja California, México, donde podría azotar con vientos de tormenta tropical algunas partes de la península, aunque no se espera que toque tierra.

Genevieve alcanzó el martes fuerza de huracán categoría 4, pero se fue debilitando y ahora es una tormenta de categoría 3, con vientos máximos sostenidos de 185 kilómetros por hora, según informó el Centro Nacional de Huracanes de Estados Unidos, en Miami.

El meteoro se encontraba 240 kilómetros al sur del punto más al sur de Baja California y se movía con rumbo norte noroeste a una velocidad de traslación de 15 kilómetros por hora.

Los meteorólogos pronosticaron que Genevieve pasará cerca del extremo sur de la península entre el miércoles en la noche y el jueves.

La tormenta va acompañada de grandes marejadas y fuertes lluvias que podrían causar acumulaciones de 5 a 10 centímetros de lluvia en Baja California Sur.

Las autoridades del Cabo San Lucas cerraron el puerto e instalaron refugios para las personas que necesitaran evacuar la zona.

No nos queda más que llevar a un lugar seguro la lancha”, dijo Elio López mientras sacaba su bote de las aguas de Cabo San Lucas antes de la llegada de la tormenta.

Una alerta de tormenta tropical seguía activa para partes de la península, desde Los Barriles hasta Puerto Cortés.

Más noticias de América Latina

Suscríbete boletín de noticias

XS
SM
MD
LG